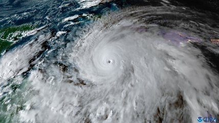
El potente huracán Melissa embate al Caribe, con daños severos en Haití, Jamaica y Cuba
"The Weather Channel", cadena estadounidense de pronósticos del tiempo, ha dejado impactados a miles de personas por...
Polémica han causado las imágenes del presidente de Estados Unidos, Donald Trump, quien en su visita a Puerto Rico...
El conductor Nacho Gutiérrez relató cómo espera la llegada del huracán María, que ya tocó tierra este miércoles en la...
Imágenes satelitales muestran el contraste entre el antes y el después del paso del Huracán Irma en varias áreas del...
Tras el paso del huracán Milton por el Estado de Florida, en Estados Unidos, las autoridades entregaron un positivo...
El climatólogo de la Universidad de Santiago Raúl Cordero se refirió en Cooperativa a la inminente llegada del...
El "extremadamente peligroso" huracán Milton, de categoría 4, aumentó este martes de tamaño mientras se aproxima a la...
Ian, el potente huracán que causó esta semana destrucción en Cuba y el suroeste de Florida, perdió fuerza en su...